조황관리HOME / 조황관리 / 상세정보

제목 : 24년03월30일 대천항아이언호 우럭라이트지깅탐사조황
등록일 : 2024-04-01











































































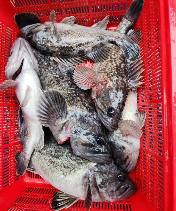
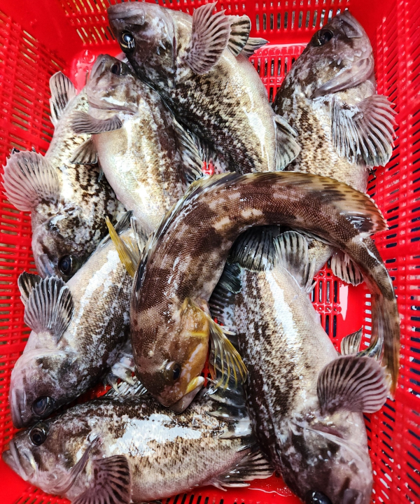
매년 다니는 탐사지만 항상 바다가 주실때까지 기다리는 마음으로 좋은 손님들과 재밌게 낚시하고 먹을만치 잡은 조황으로 입항했습니다
때가 되었음을 알리는 조황은 아니지만 즐긴다는 마음으로 임해주신 조사님들 덕분에 즐거운 낚시을 했습니다
다만 입질이 약하고 포인트마다 적은 고기는 아직 조금 이른듯한 느낌이었습니다
다음 출조을 기대하며 조사님들 건강도 잘 챙기시기바랍니다

1000014172.jpg


1000014180.jpg


1000014181.jpg


1000014182.jpg


1000014173.jpg


1000014174.jpg


1000014175.jpg


1000014176.jpg


1000014177.jpg


1000014178.jpg


1000014179.jpg


1000014171.jpg


1000014170.jpg


1000014171.jpg


1000014160.jpg


1000014161.jpg


1000014162.jpg


1000014163.jpg


1000014164.jpg


1000014165.jpg


1000014166.jpg


1000014167.jpg


1000014168.jpg


1000014169.jpg





*** 대천항 아이언호 예약 안내 ***


예약문의 : 010-6833-8255
오시는길 : 충남 보령시 신흑동 2245 

아인언호 홈페이지 http://iron.sunsang24.com/ 

아이언호 밴드 https://band.us/@bongfishing 

아이언호 카페 https://cafe.naver.com/bongfishingho

가입하시면 더 많은 정보을 받으실 수 있습니다


모바일.jpg


Top